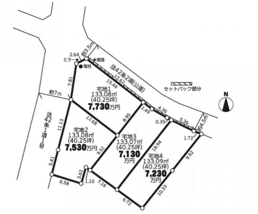
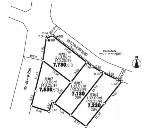
土地 藤沢市本鵠沼2丁目宅地3
所在地
藤沢市本鵠沼2丁目宅地3
7,130万円
40.25坪
やまか本鵠沼店まで徒歩約3分で買い物便利です!
建築条件付き土地!
やまか本鵠沼店 3 分(240 m)
ローソン 藤沢本鵠沼店 4 分(300 m)
クリエイトS・D 小田急本鵠沼駅前店 3 分(210 m)
物件概要
- 交通
-
江ノ島線 本鵠沼駅 まで 徒歩4分
東海道線 藤沢駅 まで 徒歩19分
江ノ島線 藤沢駅 まで 徒歩19分
- 接道状況
- 北東側 公道
- 土地面積
- 133.07㎡ (40.25坪)
- 建ぺい率
- 50%
- 容積率
- 80%
- 土地権利
- 所有権
- セットバック
- 無し
- 小学校区
- 鵠沼 ( 600m )
- 中学校区
- 鵠沼 ( 450m )
- 私道負担
- 建築条件
- あり
- 地目
- 宅地
- 現況
- 更地
- 引渡時期
- 相談
- 上水道
- 下水道
- ガス
- 都市ガス
- 都市計画
- 市街化区域
- 用途地域
- 1種低層
- 設備・条件
- 備考
- 取引態様
- 仲介
建築条件付きの土地につきましては、土地売買契約締結後3カ月以内に当社の指定する建設業者と請負契約が成立しない場合には土地売買契約は解除され、受領した金額は全額無利息でお返しします。



